A Photogrammetric Method to Calculate When the Moorman 5 Photo Was Exposed
 

   Some researchers have expressed interest in determining exactly when
the Moorman Polaroid of the grassy knoll was exposed in relation to the
Zapruder film. A few careless researchers have even claimed that the
Moorman photo was exposed BEFORE the head shot at Z-313. In the past I
have shown by examination of the Presidential limousine that the Moorman
photo was taken at about Z-315.7. I can also prove when the Moorman
photo was exposed by examining objects other than the limousine.
   In this case, we can see DPD motorcyclist Hargis' white helmet in
the sprocket hole area of Z-313 and also at the extreme right of a full
frame copy of the Moorman Polaroid. The fixed object in the background
to use as a tie point is Mary Moorman, who can also be seen in the
sprocket hole area of Z-313. She did not move while taking her
photograph.
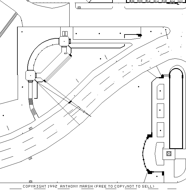
   First we place the limousine in the proper position on Elm Street.
Due to the blurring of Z-313 and the inherent inaccuracy of most maps,
we can only get the limousine close to its true location with a margin
of error of about 6 inches. 6 inches is also the size of each pixel on
my computer map, so I have placed the limousine to within 6 inches of
its true location in the file named  PLAZA313.GIF . One key to locating
the position of the limousine is to draw a straight line from the right
front bumper at approximately a 45 degree angle towards the pergola. The
line should intersect the east edge of the north run of the retaining wall
before the retaining wall intersects (like an upside down Y) with the
adjoining wall. The limousine is about 6 and 1/2 feet wide and about 21
feet long. At Z-313 the right front edge of the limousine is about 15 feet
away from the north curb of Elm Street. The right rear edge of the
limousine is about 15 and 1/2 feet away from the north curb.
   Now that the limousine has been placed on the map, a straight line can
be drawn from Zapruder's camera position to Mary Moorman's camera
position. In the file named  ZAP313P.GIF   that line is represented by a
purple line in the sprocket hole area. Hargis' white helmet is just to
the left of that line, or generally east of the line. Mary Moorman was
standing about 3 feet away from the curb. The line just barely falls
behind the left rear edge of the trunk of the limousine. Hargis is about
11 feet away from the south curb of Elm Street. A small dot on the map
touching the line from Zapruder to Moorman represents Hargis' helmet.
   Next, the Moorman photo is examined. When a line if drawn from
Moorman to the point of intersection of the retaining wall with the
adjoining wall, the line touches the back of Hargis' helmet. In the file
named  MOORMANP.GIF  that line is represented by a purple line. Thus in
the Moorman photo, we see that Hargis is to the west of the line. Thus
Hargis' helmet is farther to the west in the Moorman Polaroid than in
Z-313. I will not argue the scientific proof here to prove that when an
object is in a different place at a different time that it has traveled
a certain distance. See Euclid for that.
   If the line from Moorman to the retaining wall intersection had been
to the east of the line from Zapruder to Moorman, then the Moorman photo
would have been taken before or at approximately the same time as Z-313,
as Hargis is clearly seen in all films moving in the same direction as
the motorcade at this point, generally east to west. But we know that
the line from Moorman to the retaining wall intersection is to the west
of the line from Zapruder to Moorman. Thus, Hargis' position in the
Moorman photo is at a time later than Z-313.
   But, how much later? A rough estimate can be made by measuring the
distance between the lines at 11 feet from the curb, which measures the
travel path of Hargis's helmet from Z-313 to the Moorman photo. This
distance is approximately 18 inches. Hargis's helmet is approximately 1
foot long, so the total distance covered is about 2.5 feet. Although the
Alvarez study showed that the Presidential limousine slowed from
approximately 12 MPH to approximately 8 MPH at about Z-300, the escort
motorcycles kept traveling at about 12 MPH, which is equal to about 17.6
FPS. In fact, in the Nix film we see that Hargis keeps pace with the
limousine, staying ahead of Martin to his left and gaining on the
limousine.

2.5 ft/17.6 fps = 0.142 secs.
0.142 secs. * 18.3 frames per sec. = 2.6 frames
313 + 2.6 = 315.6

Thus it has been shown that the Moorman photo was taken at about Z-315.6
QED